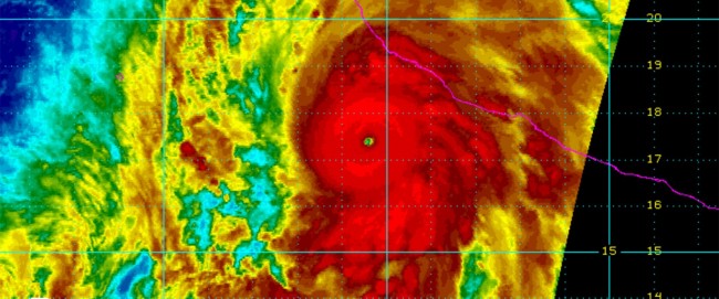
Just off the coast of Mexico swirls a storm that was just measured as the strongest tropical cyclone ever recorded. That’s right – ever in history. A few brave souls flew into the eye of the hurricane to measure its might earlier today, and they found that the massive Hurricane Patricia has winds gusting at 200 MPH – and it might not even be done growing. It’s also the most intense hurricane ever recorded in the western hemisphere, meaning that we are witnessing history right now, and Mexico is bracing for the impact.
A few days ago, no one had any idea that this storm was brewing. But by Friday morning, it was clear that this was becoming a storm for the record books. It’s hard to describe how massive this storm is: besides having sustained wind that measures 221 MPH, the air in the eye of the hurricane is 89 degrees – that’s much higher than usual. Its central pressure dove an unheard of 100 millibars in 24-hours, and it has developed astoundingly fast, going from a category one to a category five storm in the same amount of time.
Hurricane Patricia may even get a little stronger by the time it is finished growing, and it is already about as strong as a tropical cyclone can be. The previous record holder, Super Typhoon Haiyan, measured 195 MPH and caused astounding devastation to the people in its path.
Hurricane Patricia is heading towards Mexico, and if it sweeps through the populated areas there, it could be unimaginably awful. If the storm takes the predicted path, it will slam into the coast in southwestern Mexico, in between Puerto Vallarta and Manzanillo, and then sweep through the country, causing the loss of life and the kind of destruction that is the stuff of nightmares.
Via Gawker
